土地
2025/12/12 更新
三鷹市深大寺2丁目土地
- 建築条件なし
- 価格
- 6,288万円 (非課税)
- 所在地
- 東京都三鷹市深大寺2丁目
- 交通
- 中央線・武蔵境駅 南口 徒歩23分
- 物件コード1:SMB38541
- 物件コード2:BL00623083
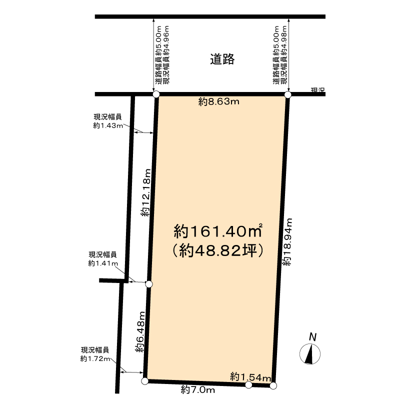
建築条件なし お好きなハウスメーカーにて建築可能 土地面積:161.40平米(約48.82坪)
- 物件詳細
- 地図・周辺施設
- ローンシミュレーション
注目
■ 三鷹市 深大寺2丁目 売地 ■
敷地面積 約48.82坪
物件概要
- 価格
- 6,288万円 (非課税) ローンシミュレーション
- 物件種別
- 売買 売地
- 建物名称
- 三鷹市深大寺2丁目土地
- 所在地
- 東京都三鷹市深大寺2丁目
- 交通
- 中央線・武蔵境駅 南口 徒歩23分
- 築年月
- -
- 現況
- 更地
- 接道状況
- 一方(北 4.9m 公道 間口8.6m)
- 土地面積
- 161.4m²(実測)
- 土地権利
- 所有権
- 坪単価
- 128.8万円
- 建築条件※注1
- 無
- セットバック
- 無
- 私道負担
- 無
- 都市計画
- 市街化区域
- 地目
- 宅地
- 用途地域
- 第一種低層住居専用地域
- 地勢
- 建ぺい率/容積率
- 40% / 80%
- 国土法届出
- 不要(否)
- 引渡 注2
- 相談
- 取引態様
- 媒介
- 設備・条件
- 公営水道、都市ガス、公共下水
- 備考
- ・JR中央線「武蔵境」駅 徒歩23分
*物件概要*
・土地面積 161.40平米
・第一種低層住居専用地域
・建ぺい率 40%
・容積率 80%
・間口:約8.6m
法令上の制限:法22条区域
- 次回更新日
- ※次回更新は、 2025年12月19日 を予定しております。
- 建築条件付売地とは、3ヶ月以内に建築請負契約が成立しなかった場合、売買契約は白紙となります。
- 引渡欄に「即時」と表示の物件は、残代金の支払いが完了次第、引渡が可能となります。
電話でのお問い合わせはこちら
お電話の際は、「すみなびを見た」とお伝え頂けるとスムーズです。
0120-31-4063
(受付時間) 10:00 ~ 18:00 (定休日) 毎週火曜日・水曜日
住友林業ホームサービス株式会社 中野店
- 所在地
- 〒164-0001東京都中野区中野2丁目29-5 中野レジデンス壱番館 1、2階
- 電話番号
- 0120-31-4063
- 免許番号
- 国土交通大臣(16)第220号
- 定休日
- 毎週火曜日・水曜日
- 不動産は成約済あるいは販売中止・価格変更となる場合もあります。
不動産の販売状況は、上記店舗へお問い合わせください。
- 不動産協会会員・(一社)不動産流通経営協会会員・(公社)首都圏不動産公正取引協議会加盟















